*El huracán Melissa de categoría 5 avanza rápidamente, provocando temor en centro América
Por Yiram Anteliz
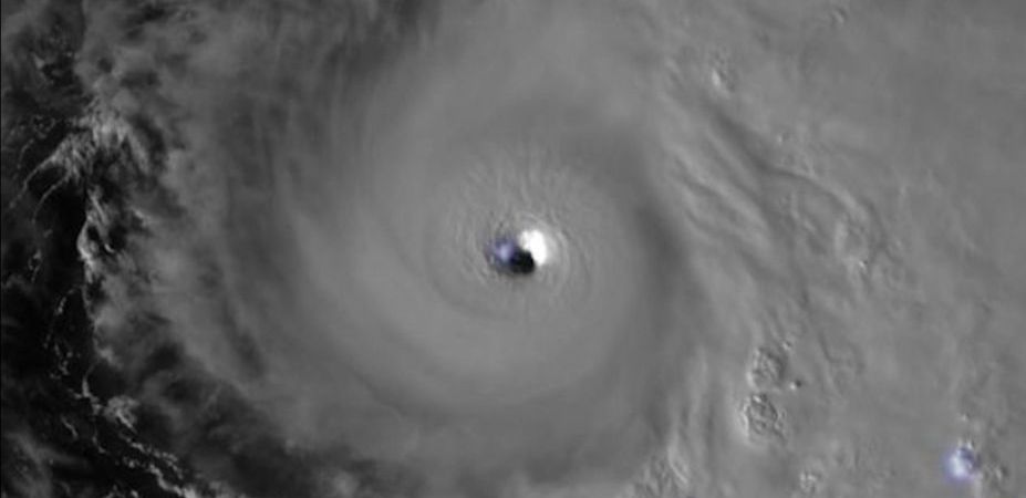
El Caribe enfrenta nuevamente el rostro más feroz de la naturaleza. El huracán Melissa, ahora de categoría 5, avanza con furia descontrolada sobre el mar Caribe, arrasando todo a su paso y dejando un rastro de destrucción que amenaza con convertirse en una de las peores tragedias climáticas de los últimos años. Con vientos que superan los 260 kilómetros por hora, el fenómeno ha obligado a evacuar miles de personas en Jamaica, Cuba, República Dominicana y Haití, donde el miedo y la incertidumbre se mezclan con la desesperación de quienes lo han perdido todo antes de que siquiera toque tierra.
Las autoridades locales intentan mantener la calma, pero la realidad es abrumadora: carreteras bloqueadas, cortes de electricidad y comunicaciones colapsadas en varias zonas. A pesar de las advertencias, cientos de familias se resisten a abandonar sus hogares por temor a saqueos, lo que ha generado caos y tensión entre pobladores y fuerzas de seguridad. El primer ministro jamaicano calificó la situación de “emergencia nacional” y pidió ayuda internacional inmediata.
Pero más allá del drama humano, la controversia crece. Varios expertos denuncian que la intensidad del huracán es consecuencia directa del cambio climático y de la falta de acción de las grandes potencias, que siguen permitiendo el aumento de las emisiones contaminantes. Algunos meteorólogos aseguran que Melissa es el resultado de un “océano hirviendo” en la región del Atlántico, un fenómeno que acelera la formación de tormentas monstruosas. En redes sociales, la indignación crece mientras ciudadanos acusan a los gobiernos de “preparar más discursos que refugios”.
Mientras tanto, la tormenta avanza como una bestia sin control. La noche se ilumina con relámpagos que parecen anunciar un futuro oscuro para miles de familias caribeñas. Los centros de emergencia se desbordan, los vuelos están cancelados y el sonido del viento se mezcla con los rezos de quienes solo esperan sobrevivir. Melissa no solo está destrozando casas y costas: está dejando al descubierto, una vez más, la vulnerabilidad de un mundo que sigue jugando con fuego mientras el planeta arde.
